| The
Niles Penn-Ohio System Car Barn –Bob Smith.
Electric trolley transportation began in Trumbull County with
the opening of the Niles & Mineral Ridge Electric Railway
on January 12, 1893. Then the Trumbull Electric Railway began
operation between Niles and Warren on June 19, 1893.
To complete the trolley traction lines in southern
Trumbull County, the Mahoning Valley Electric Railway began operation
in 1895 with track age from Niles through Girard connecting with
the Youngstown trolley system.
Electric trolley transportation had begun in
1888 in Richmond, Virginia with a successful installation designed
by Frank Sprague (1857–1934). |
|

View of
the Interurban streetcar barns and Heaton’s dam across
the Mosquito Creek.PO1.2069
|
Although
Warren was a larger city than Niles, Niles became the center of
trolley operations with the erection of a large car barn along
Mosquito Creek just north of Robbins Avenue.
The aforementioned trolley (known as ‘traction
companies’) were merged during the 1902-1906 period, becoming
the Mahoning & Shenango Railway & Light Company, which
then became the Penn-Ohio Electric Company, and finally in 1930
became the Ohio Edison Company.
These trolley operations were actually interurban
companies because they ran between cities and not just with routes
within cities. |
|

Larger car barn with brick construction.
|
In 1911,
the Mahoning & Shenango Railway & Light Company built
a new larger car barn of brick and masonry materials (size approximately
150 X 65 feet) with a substation and freight house/offices adjoining
the car barn. The car barn had six tracks to store approximately
20 trolleys/interurban cars.
The Penn–Ohio System Niles car barn, built
in 1911 to replace an earlier wooden car barn which was shown
on the 1899 Atlas of Trumbull County. The 1911 car barn was located
between the Erie Railroad tracks and Mosquito Creek and was demolished
ca 1934.
In 1985, Warren Trolley historian, Herb McBride,
and NHS member, Bob Smith, inspected the car barn site
discovering that the discarded concrete freight house steps were
still on the rear of the Leonard Glass property. |
|
| 
View in the front of the Penn–Ohio
car barn, ca1920s. |
Car 155
built by the ‘home-grown’ Niles Car & Manufacturing
Company in 1908, one of the six–car order that year. The
car sat 54 riders, with an overall length of 51 feet.
The roll sign says ‘Warren Express’.
The front sign reads Warren Hippodrome as destination.
This interurban trolley was scrapped in 1926. |

Waiting Station for the Mahoning Valley Railway
Company. PO1. 1564 |
|
|
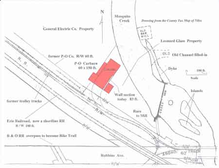
This map is based
on the standard County Tax Map.
Note the car barn and trolley trackage.
Other historic map features are: the mill raceway
and former sawmill and Mosquito Creek dam which existed on the
1874 Atlas of Trumbull County.
Note the remaining wall section at the rear of
the Leonard Glass Company. |

William Ohl Electric Steel Railway Company Mineral
Ridge and Niles stock certificate #34. One share for $50.00 bought
February 1, 1893. W.J. William, President. |
|

View of the Interurban
streetcar barns and Heaton’s dam across the Mosquito Creek.
|
The Penn–Ohio
system ended all Niles-centered trolley operations on December
31, 1931, with nostalgic newspaper stories covering the ‘last
runs’.
The large car barn was demolished, after being
offered to the City of Niles which declined the offer.
It is unknown exactly when the demolition took
place, but a May 1938 aerial map shows the structure gone.
Today there remains an 83foot section–edge
of the south foundation wall at the end of the Leonard Glass property.
Some of the former trolley company’s property
was purchased by the General Electric Company.
R: Cover of souvenir program for a ‘Trolley
Party’ given by the Mahoning Valley Electric Railway, October
16th, 1896. PO1.2358 |

|
|
| 
At the car barns, the ‘Limited’ cars
were
larger cars that carried more passengers
and did not stop between stations. PO1.1433
|

The Niles Car & Manufacturing Company buildings
built in 1901, are no longer in use by the Cleveland Steel Container
Corporation on Mahoning Avenue at Erie Street. Moved 2025.
The outside of the Niles Car building
with the name above the building. PO1.1580
|

Mr. C. E. Rose, secretary and treasurer
of Niles Car & Manufacturing Co. at his desk in the company
office about 1912.
PO1.1109
|
|
|

PO2.8 |
The interurban car,
‘The Northern’ at the Niles station streetcar barns.
‘The Northern’, the most noted car
built by the Niles Car and MFG. Company, was built in 1901 for
magnates Everett and Moore of the Northern Ohio
Traction and Lighting Company.
It was fifty-three feet long, eight feet six
inches wide, twelve feet high, and weighed 54,900 pounds.
|

Photo: Bob Smith
|
|